조황관리HOME / 조황관리 / 상세정보

제목 : 12월 10일 우럭 조황입니다.
등록일 : 2025-12-11



안녕하세요 
바다소식 전해드릴게요.

모처럼 좋은 기상을 보여
바다에 다녀왔습니다.

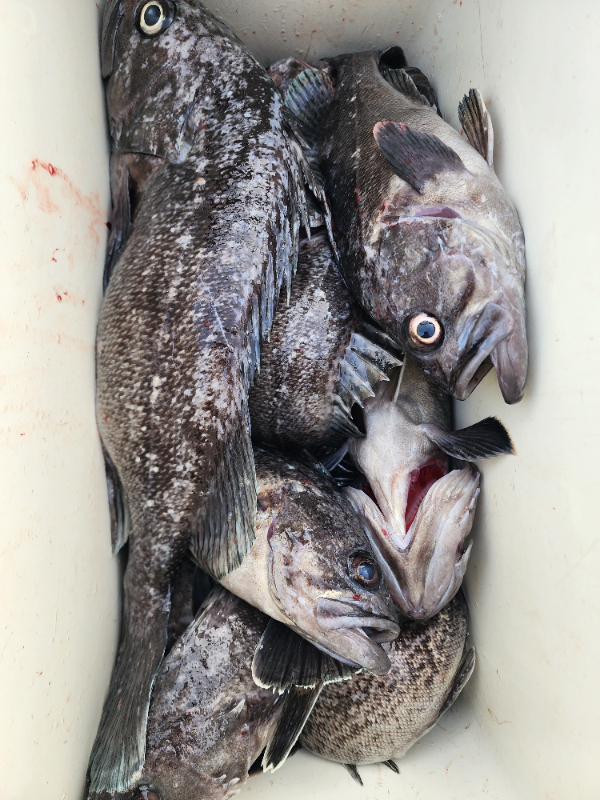
좋은 싸이즈들의 우럭들이 올라와 주었고
날씨 탓에 고팠던 손맛을 해소 할 수 있었습니다.
큰 싸이즈로는 5짜까지 보였습니다.

토요일 하루
기상이 좋게 예예보이기에 출조 준비중입니다.

40호, 50호 봉돌 사용하며
왕등도권 어초 위주로 탐색합니다.

1765363040441.jpg


1765363040350.jpg


1765363040277.jpg


20251210_131334.jpg


1765363039929.jpg


1765363039279.jpg


1765363039402.jpg


1765363039463.jpg


1765363039601.jpg


1765363039665.jpg


1765363039720.jpg


1765363039798.jpg


1765363039846.jpg

 



격포피싱투어 
오션투어호 
01052 617181 
전북 부안군 변산면 격포로 220

낚시는 설레이는 여행입니다.

 


*** 격포 오션투어호 예약 안내 ***


예약문의 : 010-5261-7181

오시는길 : 전북 부안군 변산면 격포로 220

모바일.gif 

Top